يافع نيوز – عدن – خاص.
بعث معالي وزير الدولة، محافظ العاصمة عدن الأستاذ أحمد حامد لملس برقية عزاء ومواساة بوفاة الإعلامي صالح الحميدي وكيل وزارة الإعلام لشؤون الإذاعة الذي انتقل إلى رحمة الله
يافع نيوز – خاص.
أجرى نائب رئيس مجلس القيادة الرئاسي قائد ألوية العمالقة الجنوبية عبد الرحمن أبو زرعة المحرمي اتصال هاتفي بوزير الأوقاف والإرشاد الشيخ محمد بن عيضة شبيبة ووكيل الوزارة لقطاع الحج
نافذة اليمن - عدن
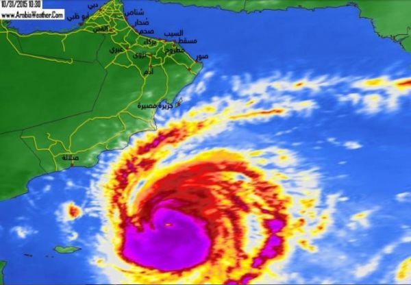
في بيان صدر مساء الأربعاء، نبه مركز الإنذار المبكر من الكوارث والمخاطر المناخية المتعددة بمحافظة حضرموت، من منخفض جوي يتمركز شمال شرق بحر العرب يتجه نحو المحافظات الشرقية في البلاد.وذكر المركز
نافذة اليمن - عدن
أقدم عدداً من مسلحي مليشيا الحوثي المصنفة إرهابية والمدعومة إيرانيا، خلال الساعات القليلة الماضية، على اجتياح، حي سكني في محافظة ذمار جنوبي العاصمة المحتلة صنعاء، إذ قام المتمردين بهدم مدرسة
نافذة اليمن - عدن
أثبتت دراسة حديثة صادرة عن "مركز البحر الأحمر للدراسات السياسية والأمنية" والذي تم إشهاره في مدينة مأرب، قبل أيام كأول مركز متخصص في الدراسات السياسية والأمنية في اليمن، ارتباط الحرس الثوري
نافذة اليمن - عدن
أكدت شركة النفط الخاضعة لسيطرة مليشيا الحوثي في صنعاء، تورط زعيم المليشيات عبدالملك الحوثي، خلف رفع أسعار المشتقات النفطية في وثيقة رسمية.وبحسب وثيقة صادرة من شركه النفط اليمنية الواقعة في صنعاء
صدى الساحل - الحديدة
...شهدت جبهات الساحل الغربي تصعيدًا في خروقات مليشيات الحوثي، والتي بلغت أكثر من 82 خرقًا خلال الـ48 ساعة الماضية، بينها هجوم بطيران مسيّر،
التقى العميد الركن طارق محمد عبدالله صالح، عضو مجلس القيادة الرئاسي- رئيس المكتب السياسي للمقاومة الوطنية، اليوم الثلاثاء، سفير الولايات المتحدة لدى اليمن
صدى الساحل - خاص
دشن مدير الوحدة التنفيذية بمديرية الخوخة تامر عبدالجبار توزيع مواد إيوائية لعدد 2150 من النازحين والمجتمع المضيف بمديرية الخوخة جنوب محافظة
يافع نيوز – عدن.
تواصل المؤسسة العامة لكهرباء عدن حملتها التي أطلقتها اواخر الشهر الماضي بفصل الربط العشوائي والمزدوج “خطين” وذلك لخفض نسبة فاقد التيار الكهربائي التي بلغت 45%.
حيث نفذت المنطقة
يافع نيوز – شبوة.
ناقش محافظ شبوة عوض بن الوزير العولقي، اليوم، مع عدد من المشائخ والشخصيات الاجتماعية لِقبيلة خليفة الهلالية؛ عدد من القضايا المتعلقة بالهموم والمتطلبات الخدمية والتنموية في مناطق
يافع نيوز – حضرموت
ألقى منتسبوا مركز شرطة باعبود التابع لإدارة أمن وشرطة مديرية مدينة المكلا، القبض على شخص متخصص بسرقة الملابس النسائية من عدة محلات بسوق النساء بالشرج بمدينة المكلا. وجاءت